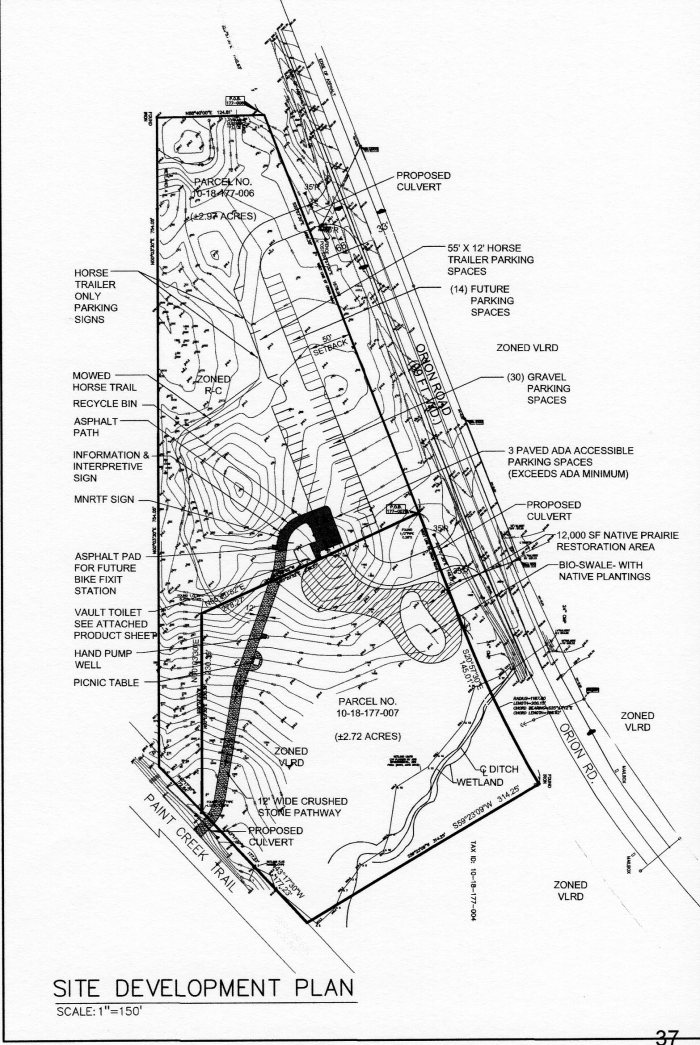
On 9/25/2018, after information was presented to the Board by Parks Director, Mindy Milos-Dale, the Oakland Township Board of Trustees passed Resolution 18-14 by a 7/0 vote approving a grant application to be made by Oakland Township Parks Department to Michigan Natural Resource Trust Fund (MNRTF) for a “trail-head” parking lot in Paint Creek Junction Park (formerly Marshview Connector Park) on the west side of Orion Road between Adams and Kern. (See map below). The proposed lot will accommodate cars and horse trailers and allow access to the northern part of Paint Creek Trail and proposed Iron Belle Trail near the border with Lake Orion. (See map and engineering drawing below).
Projected funding is projected to be:
MNTRF Grant $228,450
Parks Fund (from township Parks millage taxes) $76,150
Total $304,600


(Site development plan drawing from PEA Engineering Drawing No. 5, Job No. OA1808, titled TF18-0098 Iron Belle – Paint Creek Trail – Northern Trail Development)
MNRTF is funded by oil and gas leases on state land. The program is protected by being written into the Michigan State Constitution.
According to the MNRTF website, since 1976 MNRTF grants have been awarded as follows:
- Total MNTRF grants- $1,167,483,823 (Yes, over $1 billion !)
- Oakland County grants – $88,131,612
- Oakland Township grants- $5,428,103
Parks Director Mindy Milos Dale provided Oakland Township Sentinel the following detail of MNRTF grants that have benefited or will soon benefit Oakland Township parks
Past Michigan Natural Resources Trust Fund Past Grants Received by Oakland Township:
- TF99-128- $ 2,010,101 -Acquisition of Marsh View Park (1999)
- TF00-311- $ 313,302 -Development of Bear Creek Nature Park (2000)
- TF02-013- $ 1,762,800 -Acquisition of Lost Lake Nature Park (2002)
- TF05-102- $ 893,700 -Acquisition of Stony Creek Ravine Nature Park (2005)
- TF07-057- $ 293,300 -Development of Marsh View Park (2007)
- TF10-069- $ 154,900 -Development of Lost Lake Nature Park (2010)
Also currently in process is this grant:
- TF16-0009 Stony Creek Ravine Nature Park Expansion $2,216,400 (2016 application)
Read more about MNRTF at this link: https://www.michigan.gov/dnr/0,4570,7-350-79134_81684_79209_81657—,00.html
A detailed listing of all MNRTF grants in the state by county can be found at:
Click to access MNRTF_Grant_Projects_Awarded_564902_7.pdf